Marków-Towarzystwo, Akacjowa
2 629 500,00 PLN
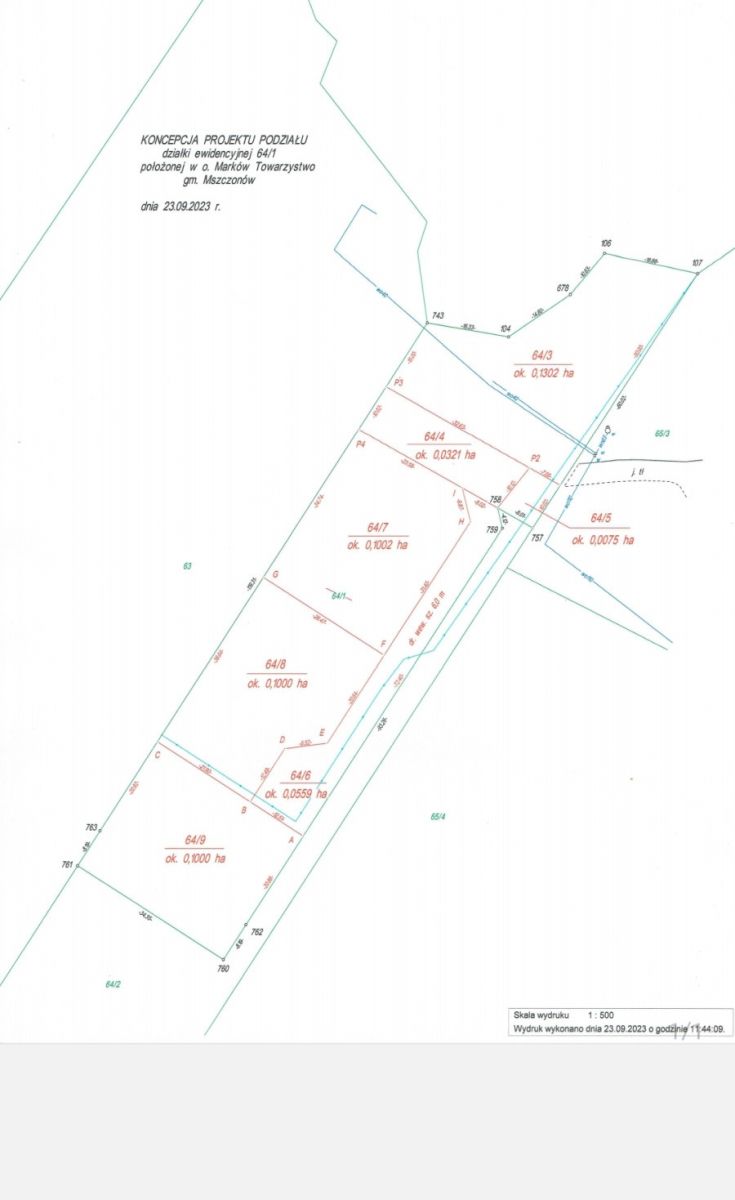
Działka (Budowlana) na sprzedaż , 5 259 m2
500,00 PLN /m2
Powierzchnia
5 259 m2

Dane nieruchomości:

Numer oferty: 812048
Powierzchnia: 5 259 m2
Cena za m2: 500,00 PLN
Cena: 2 629 500,00 PLN

Opis nieruchomości:

Wyjątkowa działka inwestycyjna na obrzeżach dynamicznie rozwijającego się Mszczonowa, w bezpośrednim sąsiedztwie Warszawy
Na sprzedaż atrakcyjna nieruchomość gruntowa idealna pod zabudowę mieszkaniową - doskonała propozycja dla dewelopera poszukującego gruntu w świetnie skomunikowanej lokalizacji, łączącej potencjał inwestycyjny z niepowtarzalnymi walorami przyrodniczymi.
Działka położona jest w malowniczej okolicy, tuż przy urokliwej rzeczce, w otoczeniu zieleni i naturalnych krajobrazów, które zachwycą zarówno przyszłych mieszkańców, jak i miłośników rekreacji na świeżym powietrzu. W sąsiedztwie znajduje się renomowany obiekt restauracyjno-hotelowy, funkcjonujący z powodzeniem od lat - doskonałe zaplecze towarzyszące każdej inwestycji mieszkaniowej.
Teren jest zadbany, łatwo dostępny i świetnie skomunikowany zarówno z Warszawą, jak i innymi częściami regionu. Idealny również dla entuzjastów kolarstwa i aktywnego wypoczynku - okolica oferuje liczne trasy rowerowe i szlaki o wyjątkowych walorach krajobrazowych i przyrodniczych.
Polecam tę nieruchomość nie tylko jako pośrednik i architekt specjalizujący się w unikalnych terenach inwestycyjnych, ale również jako pasjonat rowerowych wypraw - to miejsce naprawdę zachwyca.

Skontaktuj się z agentem :
Sylwia Brzostowska

Telefon : 729-144-446

sylwia.b@davidovska.pl


Lokalizacja: